¿Por qué comemos arroz con gandules en Navidad?
La historia del arroz con gandules es la historia de Puerto Rico: una mezcla de culturas que llegaron por caminos distintos y terminaron fusionándose en un plato.
Foto: Getty ImagesLa historia del arroz con gandules es la historia de Puerto Rico: una mezcla de culturas que llegaron por caminos distintos y terminaron fusionándose en un plato.
En cada hogar puertorriqueño, desde las montañas de Utuado hasta los apartamentos de la diáspora en el Bronx, cada Navidad se repite el mismo ritual: preparar el arroz con gandules que brillará en la mesa junto al lechón y los pasteles. Pero, ¿cómo el arroz con gandules se convirtió en el plato emblemático de las fiestas boricuas?
Un arroz de tres culturas
La historia del arroz con gandules es la historia de Puerto Rico: una mezcla de culturas que llegaron por caminos distintos y terminaron fusionándose en un plato. Crystal Díaz, creadora de El Pretexto, cofundadora de PRoduce y analista de seguridad alimentaria, comparte tres datos históricos que tal vez no sabías del arroz con gandules.
El gandul llegó a la isla con la esclavitud
India → África → Caribe«Quizás hay gente que no sepa que el gandul lo recibimos aquí por vía de la esclavitud. Llega en manos de los esclavos y realmente su origen es en la India, así que el gandul es una de estas legumbres que tuvo su globalización muy lenta, desde la India hacia África y entonces de África hacia América, particularmente el Caribe, por vía de la esclavitud», explica Díaz.
El arroz llegó a la isla con los españoles
España → Puerto Rico«Por otro lado, el arroz vino también por esa conquista española, y ahí pues el arroz es un carbohidrato relativamente barato, fácil de producir, y tienes entonces estos gandules en temporada, en la temporada de Navidad. Era bastante fácil construir una comida del arroz junto con los gandules que estaban en temporada».
El gandul es un producto de temporada
Cosecha navideña«La otra curiosidad que puedo compartirte es que los gandules son típicos de la época navideña por una cuestión agrícola, esta es la temporada de los gandules», menciona.
¿Y el cerdo?
Los reyes católicos españoles, recién salidos de la Reconquista contra los moros musulmanes en España, utilizaron el consumo de cerdo como prueba de conversión al cristianismo. Comer lechón significaba declarar públicamente tu fe.
El cerdo empezó también a figurar como esta cosa que diferencia a los musulmanes de los cristianos, que es que el musulmán no come cerdo. Ni tampoco los judíos. (…) Como ellos (los reyes católicos), estaban de nuevo en esta campaña de regar el catolicismo por el mundo, pues por ahí también se montó el cerdo a América.
— Crystal Díaz, analista de seguridad alimentaria

Influencia estadounidense: la ensalada de papa y la ensalada de coditos
No todo en la mesa navideña boricua tiene raíces ibéricas o africanas. La ensalada de papa y la ensalada de coditos son frutos de la influencia estadounidense. «La ensalada de papa viene por una serie de elementos estadounidenses que también se empiezan a mezclar con perfiles de sabores puertorriqueños», menciona Díaz.
La ensalada de coditos, por su parte, es aún más evidente en su origen foráneo. La pasta que viene en caja es producto de la industrialización de la comida, pero los boricuas le han dado su propio giro. Como dice Díaz, «siempre el boricua le ha buscado criollizar la cosa».
Más que tradición: un plato nutritivo
«El arroz con gandules, podríamos decir que es un plato nutritivo» explica la nutricionista Gabriela Tirado. Los gandules aportan proteína vegetal, fibra y nutrientes esenciales. Combinados con el arroz, ofrecen una fuente de energía sostenida.
El resto del plato, aconseja Tirado, debe incluir «una buena ensaladita que incluya fruta, que incluya vegetales, pero definitivamente no es un alimento malo, que eso es nuestra preconcepción del arroz con gandules o del arroz en general».
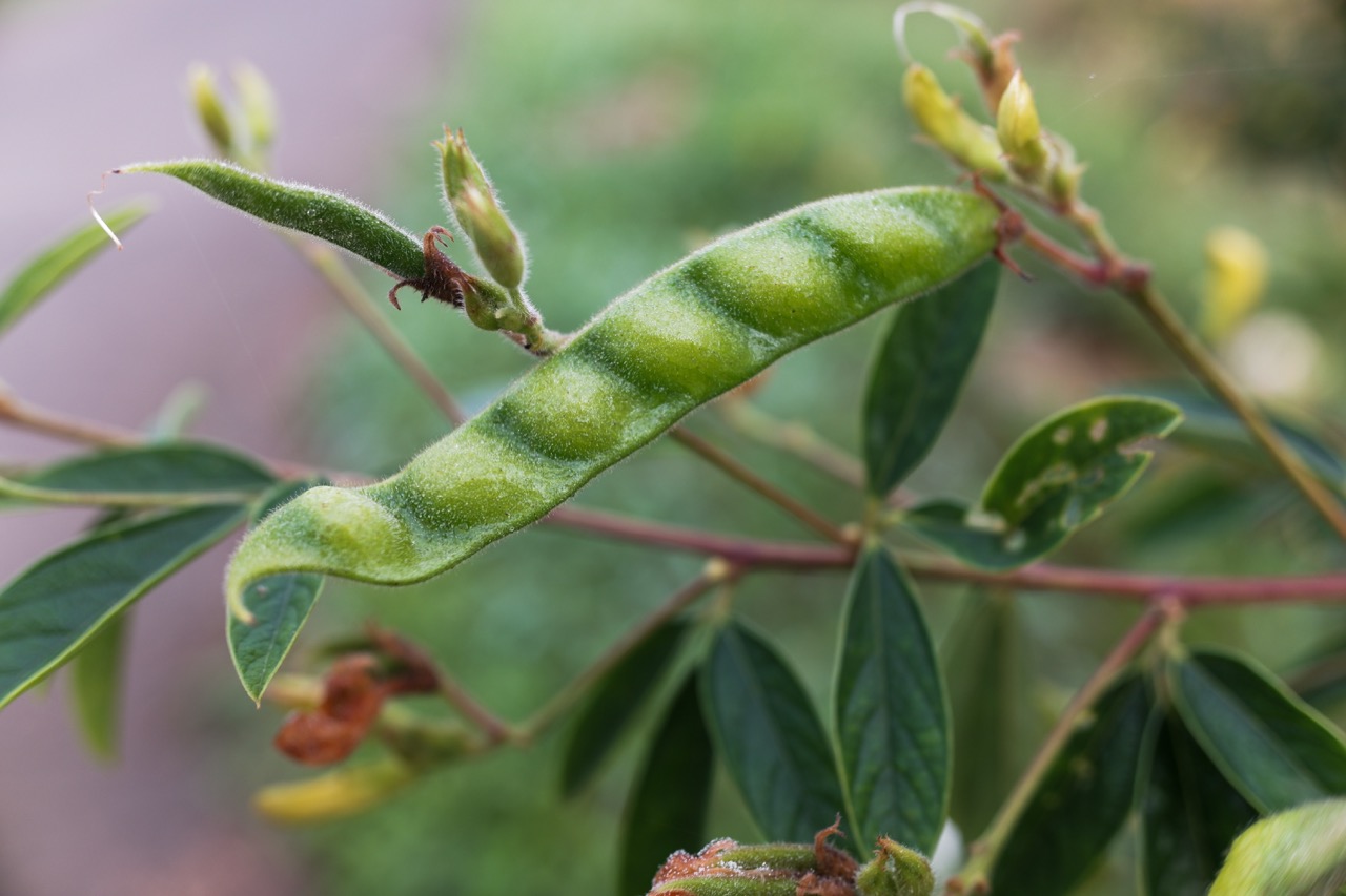
Foto: Getty ImagesClaves para cultivar el gandul en casa
Los gandules frescos son casi imposibles de conseguir en supermercados —Tirado explica que «tal vez en un farmer’s market podrías conseguirlos para esta época, pero es difícil». Sin embargo, cultivarlos es más sencillo de lo que parece.
- Planifica con tiempo: «Para mí lo ideal es sembrar tus palitos de gandules en abril», aconseja Tirado. La planta necesita al menos cuatro meses para madurar antes de la cosecha navideña, así que abril es el momento perfecto para comenzar.
- Es fácil: El gandul, como explica Díaz, es «una de esas siembras que son bastante easy going, no necesitan tanto cuidado». Su único enemigo es un gusanito que ataca las semillas, pero Tirado tiene el truco: «Tratar de cosechar el gandul bastante fresco antes de que llegue el gusanito. Y refrigerarlo hasta poder acumular suficiente».
- Considera las variedades: Para los verdaderos fanáticos, existen variedades de gandules más pequeños que producen durante todo el año.
Poco a poco se fue construyendo esa cultura alimentaria de que pensamos en Navidad y pensamos en arroz con gandules, pasteles y lechón, y viceversa, yo te digo arroz con gandules, pasteles y lechón, y eso es comida de Navidad.
— Crystal Díaz









